Detalles














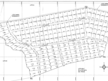
Loteo Lomas del Tangue
Exclusividad, naturaleza y proyección
Ubicado a solo 10 minutos de Tongoy, en un entorno privilegiado, Lomas del Tangue es un loteo consolidado de 111 lotes, pensado para quienes buscan tranquilidad, privacidad y conexión con la naturaleza, sin perder conectividad.
🔹 Lote en venta: N° 76
🔹 Superficie: 5.473 m²
🔹 Rol propio
🔹 Gastos comunes: $20.000
🔹 Reglamento interno vigente
El proyecto cuenta con accesos controlados mediante portones eléctricos, con ingreso tanto por la costa como por Ruta 510, caminos estabilizados, servicios de luz y agua disponibles.
Excelente oportunidad para desarrollar una vivienda de alto estándar, segunda residencia o inversión, en un sector de creciente plusvalía, rodeado de naturaleza, cercano a humedales, Playa Grande de Tongoy y Ruta 5.
| Nombre | Armacima |
|---|---|
| VER CORREO | |
| Dirección | Agustinas #1022, Oficina 1004, Santiago Centro |
| Teléfonos | VER TÉFONOS |
| Nombre | Armacima Propiedades |
|---|---|
| Teléfono T. Fijo | VER TÉLEFONO |