Cargando...

Molina, El faro s/n

Contactar con WhatsApp

Detalles

Valor:
UF 1,90
Valor (CLP aprox.)*:
$ 75.699
Conversión: 1 UF = $ 39.842
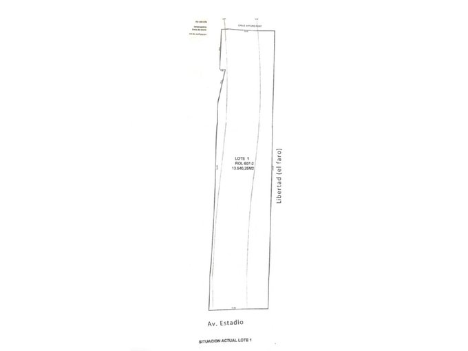
Superficie Total:
13,54 m²

Dirección:
Molina, El faro s/n
Código aviso:
112911165
Código externo aviso:
495329
Tipo de publicación:
Venta
Tipo de propiedad:
Terreno Agricola
Fecha Publicación:
19/03/2026
* Valor calculado a partir del valor original, este valor es solo referencial.
Más Terreno Agricolas en Molina
Contactar con WhatsApp

Descripción

Atención inversionistas y visionarios! Presentamos una oportunidad irrepetible en la maravillosa comuna de Molina, Región del Maule. Este extenso terreno comercial, industrial o agrícola de 13.540 m está listo para dar vida a tus proyectos más ambiciosos.

Con un generoso ancho de 53 metros y un largo de 266 metros, este espacio ofrece el lienzo perfecto para desarrollar planes innovadores en un entorno natural y próspero. Ya sea que imagines un viñedo, un complejo industrial o un negocio agrícola, esta propiedad con orientación noreste te espera para que la transformes en el proyecto de tus sueños.

Ubicado estratégicamente en la región del Maule, este terreno no solo destaca por su impresionante tamaño, sino también por su alto potencial de revalorización. La comunidad de Molina celebra una tradicional y rica cultura junto a un crecimiento sostenido, haciendo de este lugar una elección sabia para nuevos desafíos.

No dejes pasar esta oportunidad única de inversión y crecimiento! Esta propiedad es el escenario perfecto para tu próximo gran éxito.

- KP495329 - KPT031906 -
- Publicado usando KiteProp CRM Inmobiliario

Mapa - Molina, El faro s/n

Contactar

Email inválido
Teléfono inválido
Consejos de seguridad - No sea estafado

Corredora

Logo corredora
Nombre Agentes Inmobiliarios Asociados-AINA
Email VER CORREO
Teléfonos VER TÉFONOS

Información de Contacto

Nombre M&F Administración de Condominios Corredora de Propiedades
Teléfono T. Fijo VER TÉLEFONO